Most Grunwaldzki, Rondo Grunwaldzkie

- Drogi, torowiska, chodniki, parkingi, inwestycje
Awatar użytkownika
Kaszmir
Administrator
Posty: 7208
Rejestracja: 30 sty 2020, 21:20
Lokalizacja: Kraków
Polubił: 28 razy
Otrzymał  polubienie: 48 razy
Kontakt:

Re: Most Grunwaldzki, Rondo Grunwaldzkie

Post autor: Kaszmir » 10 sty 2025, 11:08

Wolą ludu, część postów wydzielona do osobnego tematu "Remont mostu Grunwaldzkiego - propozycje układu linii" w dziale "Propozycje zmian układu linii".

Awatar użytkownika
michal49944
Ekspert
Posty: 829
Rejestracja: 15 mar 2024, 17:07
Lokalizacja: Kraków - Os. Podwawelskie
Polubił: 46 razy
Otrzymał  polubienie: 58 razy

Re: Most Grunwaldzki, Rondo Grunwaldzkie

Post autor: michal49944 » 10 lut 2025, 22:44

Jak przekazał w rozmowie z miejską telewizją zastępca dyrektora ZDMK Piotr Trzepak, miasto jest na etapie wyłaniania wykonawcy, a przetarg powinien zostać ogłoszony około 20 lutego. Do podpisania umowy z wykonawcą powinno dojść między 15 a 20 kwietnia. Jeśli wszystko pójdzie zgodnie z planem, prace ruszą 5 maja. Pierwsze roboty będą dotyczyły wymiany ciepłociągu biegnącego wewnątrz konstrukcji. Następnie zostaną przeprowadzone naprawy elementów nośnych, przyczółków i izolacji oraz dojdzie do wymiany jezdni, chodników, torowiska, barier i oświetlenia.
https://krakow.eska.pl/kiedy-rozpocznie ... -vURo.html

Pojawiła się dokładna data zamknięcia Mostu Grunwaldzkiego. Wydaje się, że może to mieć sens. Często wprowadza się zmiany po majówce...

Awatar użytkownika
Mateuszppp
Pasażer
Posty: 45
Rejestracja: 25 paź 2024, 8:23
Lokalizacja: Kaszów
Polubił: 2 razy
Otrzymał  polubienie: 3 razy

Re: Most Grunwaldzki, Rondo Grunwaldzkie

Post autor: Mateuszppp » 10 lut 2025, 22:56

W sam raz w pierwszy dzień matur. Tak aby maturzyści dokładnie wiedzieli kiedy mają wyjść z domu, że się nie spóźnić na egzamin🤗.

Awatar użytkownika
michal49944
Ekspert
Posty: 829
Rejestracja: 15 mar 2024, 17:07
Lokalizacja: Kraków - Os. Podwawelskie
Polubił: 46 razy
Otrzymał  polubienie: 58 razy

Re: Most Grunwaldzki, Rondo Grunwaldzkie

Post autor: michal49944 » 13 mar 2025, 22:34

Remont Mostu Grunwaldzkiego. Problemy z dokumentacją opóźniają przetargową
https://krknews.pl/remont-mostu-grunwal ... zetargowa/
Przetarg na remont Mostu Grunwaldzkiego w Krakowie napotyka kolejne trudności. Proces, który miał przebiegać sprawnie, został już dwukrotnie opóźniony – pierwotnie otwarcie ofert planowano na 11 marca, następnie przesunięto je na 13, a obecnie nowy termin to 17 marca. Główną przyczyną są liczne pytania wykonawców dotyczące dokumentacji przetargowej. Wiele z nich wskazuje na brak kluczowych informacji, co budzi obawy o przyszłą realizację inwestycji.
Robi się coraz ciekawiej. Miejmy nadzieję, że remont, pomimo trudności rozpocznie się punktualnie. :|

suchy
Ekspert
Posty: 1320
Rejestracja: 27 gru 2021, 17:16
Polubił: 6 razy
Otrzymał  polubienie: 5 razy

Re: Most Grunwaldzki, Rondo Grunwaldzkie

Post autor: suchy » 14 mar 2025, 10:59

michal49944 pisze: 13 mar 2025, 22:34 Robi się coraz ciekawiej. Miejmy nadzieję, że remont, pomimo trudności rozpocznie się punktualnie. :|
Tjaaaa... Poczekajmy jeszcze na 2-3x wyższe oferty złożone w przetargu (i paniczne poszukiwanie rezerwowych środków w budżecie miasta), potem ewentualne odwołania od wyboru najkorzystniejszej oferty, ewentualny proces przed KIO, finalne zatwierdzenie przetargu przez UZP -
i już w grudniu remont będzie mógł wystartować :lol: :lol: :lol:

Awatar użytkownika
Bautosz
Specjalista
Posty: 273
Rejestracja: 26 wrz 2024, 20:40
Lokalizacja: Płaszów
Polubił: 38 razy
Otrzymał  polubienie: 12 razy

Re: Most Grunwaldzki, Rondo Grunwaldzkie

Post autor: Bautosz » 14 mar 2025, 13:07

Nie zapominajmy o opadach śniegu

kucyk
Ekspert
Posty: 2611
Rejestracja: 26 sie 2020, 14:39
Polubił: 1 raz
Otrzymał  polubienie: 9 razy

Re: Most Grunwaldzki, Rondo Grunwaldzkie

Post autor: kucyk » 14 mar 2025, 13:37

Bautosz pisze: 14 mar 2025, 13:07 Nie zapominajmy o opadach śniegu
I okresie zimowych miesięcy nie branych pod uwagę podczas wykonywanych prac. :lol: :lol: :lol:

Jak dobrze im pójdzie to prace rozpoczną wiosną 2026. :D :lol: :lol: :lol: :D

tomek_m
Ekspert
Posty: 597
Rejestracja: 18 lut 2020, 15:21
Lokalizacja: Michałowice
Otrzymał  polubienie: 26 razy

Re: Most Grunwaldzki, Rondo Grunwaldzkie

Post autor: tomek_m » 14 mar 2025, 19:59

kucyk pisze: 14 mar 2025, 13:37 I okresie zimowych miesięcy nie branych pod uwagę podczas wykonywanych prac. :lol: :lol: :lol:
Przecież teraz zim jako takich nie ma. A nie czekaj... w tej chwili godz 20:00, 14.03.2025 pada deszcz ze śniegiem :D

Awatar użytkownika
michal49944
Ekspert
Posty: 829
Rejestracja: 15 mar 2024, 17:07
Lokalizacja: Kraków - Os. Podwawelskie
Polubił: 46 razy
Otrzymał  polubienie: 58 razy

Re: Most Grunwaldzki, Rondo Grunwaldzkie

Post autor: michal49944 » 17 mar 2025, 11:49

Pięć firm chce wyremontować most Grunwaldzki
https://lovekrakow.pl/aktualnosci/piec- ... 60751.html
Zarząd dróg zarezerwował na przeprowadzenie prac 21,3 mln zł.

Teraz wiadomo już, że o zamówienie stara się pięć podmiotów. Najniższą ofertę zaproponowało konsorcjum firm ZUE i Intop Tarnobrzeg, które chce wykonać prace za 15,5 mln zł. Na niecałe 16 mln swoje prace wyceniła firma Primost Południe. Strabag oczekuje za nie 16,7 mln zł, Nowak-Mosty – 17,3 mln zł, a firma Most z Sopotu – 17,4 mln zł.

Punktacja została założona w taki sposób, że sama zaproponowana kwota odpowiada za 60 proc. oceny (60 punktów). Przywrócenie ruchu tramwajowego o tydzień wcześniej to kolejnych 10 punktów, a o dwa tygodnie – 20 punktów. W przypadku punktów za wznowienie ruchu samochodowego oczekiwania są wyższe: 10 punktów można uzyskać za skrócenie czasu o dwa tygodnie, a 20 – za cztery tygodnie.

– Zgodnie z przepisami mamy teraz 30 dni na zbadanie ofert i wskazanie najkorzystniejszej – komentuje Michał Pyclik z ZDMK.

Awatar użytkownika
michal49944
Ekspert
Posty: 829
Rejestracja: 15 mar 2024, 17:07
Lokalizacja: Kraków - Os. Podwawelskie
Polubił: 46 razy
Otrzymał  polubienie: 58 razy

Re: Most Grunwaldzki, Rondo Grunwaldzkie

Post autor: michal49944 » 26 mar 2025, 20:52

ZDMK: Od 5 lat zgłaszaliśmy potrzebę remontu mostu. Było ryzyko zamknięcia
https://lovekrakow.pl/aktualnosci/zdmk- ... 60892.html
Jak to się stało, że nikt się nie zorientował, że most Grunwaldzki się sypie? – pytał podczas sesji rady miasta radny Grzegorz Stawowy.
W odpowiedzi zastępca dyrektora Zarządu Dróg Miasta Krakowa Piotr Trzepak stwierdził, że jednostka już od kilku lat wnioskowała o przeprowadzenie prac. – Od co najmniej pięciu lat chcieliśmy wprowadzić to zadanie do budżetu, ale nigdy nie było na to pieniędzy, były większe potrzeby niż most – mówił.
Radna proponuje tramwaj wodny na czas remontu mostu
https://lovekrakow.pl/aktualnosci/radna ... 60901.html
Radna Iwona Chamielec proponuje, by podczas remontu mostu Grunwaldzkiego miasto uruchomiło tramwaj wodny, który pozwoliłby pasażerom przedostawać się na drugi brzeg Wisły.
Genialny pomysł z tym tramwajem wodnym! :lol: :lol: To wcale nie jest tak, że pewnie pływałby co pół godziny albo gorzej i w 99% przypadku szybciej byłoby pieszo.

Ankin
Specjalista
Posty: 377
Rejestracja: 05 lut 2025, 16:28
Polubił: 21 razy
Otrzymał  polubienie: 13 razy

Re: Most Grunwaldzki, Rondo Grunwaldzkie

Post autor: Ankin » 26 mar 2025, 21:17

Poziom odklejenia rządzących tym miastem, oraz urzędników im podległym, przebija sufit.
Sądziłem, że w ramach serwowanych przez lokalne i ogólnopolskie media informacji o "intelektualnych odlotach" jakie mają politycy, już nic nie będzie mnie dziwć, a jednak ciągle jestem zaskakiwany czymś nowym :lol:

suchy
Ekspert
Posty: 1320
Rejestracja: 27 gru 2021, 17:16
Polubił: 6 razy
Otrzymał  polubienie: 5 razy

Re: Most Grunwaldzki, Rondo Grunwaldzkie

Post autor: suchy » 27 mar 2025, 10:03

michal49944 pisze: 26 mar 2025, 20:52 Radna proponuje tramwaj wodny na czas remontu mostu
https://lovekrakow.pl/aktualnosci/radna ... 60901.html

Genialny pomysł z tym tramwajem wodnym! :lol: :lol: To wcale nie jest tak, że pewnie pływałby co pół godziny albo gorzej i w 99% przypadku szybciej byłoby pieszo.
No tak bardzo genialny, że przecież na moście ma być dostępny ruch pieszych :lol: :lol: :lol:
Pierwszy etap prac rozpocznie się 10 maja i potrwa przynajmniej do wakacji. W ramach tego etapu ruch na moście zostanie całkowicie wyłączony, z wyjątkiem ciągu pieszo-rowerowego po północnej stronie

Awatar użytkownika
kbieniu7
Ekspert
Posty: 792
Rejestracja: 21 kwie 2022, 22:38
Lokalizacja: Kurdwanów
Polubił: 12 razy
Otrzymał  polubienie: 14 razy

Re: Most Grunwaldzki, Rondo Grunwaldzkie

Post autor: kbieniu7 » 27 mar 2025, 11:17

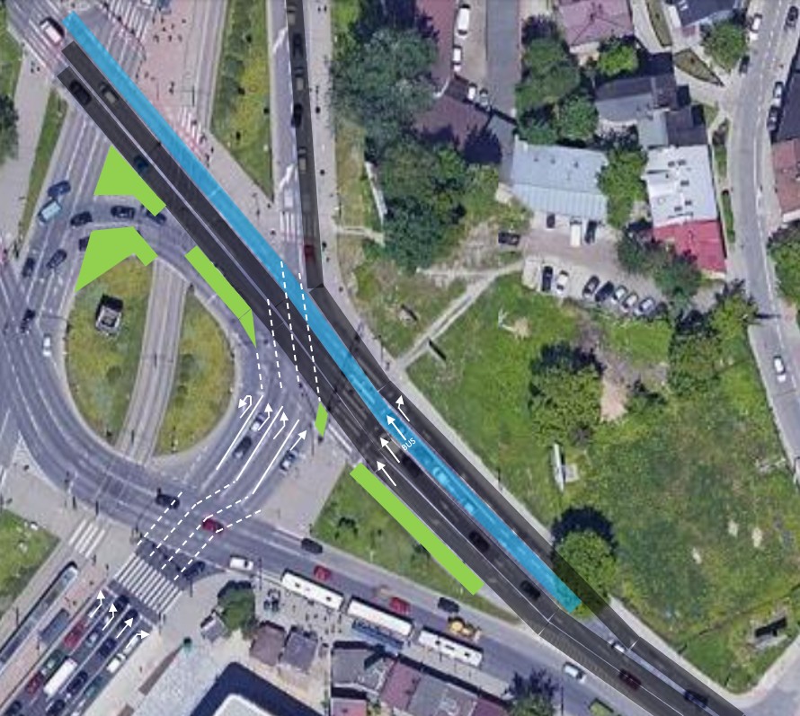
Z racji, że ma nastąpić zmiana programu sygnalizacji świetlnej na Matecznym tak, aby tramwaje miały płynniejszy przejazd, wniosłem jakiś czas temu o zmianę przeznaczenia pasów ruchu na wlocie od strony ul. Kamieńskiego tak, aby wyznaczyć tam śluzę autobusową kosztem jednego pasa do lewoskrętu - są tam dwa takie pasy, ale dzisiaj nie wypełniają się całkowicie, nie ma tylu skręcających już.
13 września 2024 wysłałem do Państwa e-mail z wnioskiem o rozważenie zmiany organizacji ruchu na dojeździe do Ronda Matecznego od strony ul. Kamieńskiego tak, aby wygospodarować na nim śluzę dla autobusów.

Dla przypomnienia - obecnie na tym wlocie jest pięć pasów:
- 2 lewoskręty w Wadowicką,
- 2 na wprost w Marii Konopnickiej,
- 1 prawoskręt w Kalwaryjską z ruchem autobusów na wprost.

Ten podwójny lewoskręt jest tam od dawien dawna, jeszcze z czasów, gdy nie było ul. Tischnera i Turowicza. Wtedy to była jedyna większa droga od Nowej Huty i Prokocimia do Borku Fałęckiego. To się zmieniło, a na dodatek mamy już i Trasę Łagiewnicką, która zdaje się mieć wpływ na zapotrzebowania na tę relację. W wielu momentach dnia te dwa pasy do skrętu w lewo nie są już tak mocno obłożone, jak dawniej. Co więcej, przepustowość lewoskrętu limituje tutaj powierzchnia akumulacji na samej tarczy ronda.

W związku z tym wyszedłem z poniższą propozycją następującego układu:
- lewoskręt w Wadowicką
- lewoskręt i jazda na wprost,
- na wprost w Marii Konopnickiej,
- buspas na wprost w Marii Konopnickiej,
- prawoskręt w Kalwaryjską.

Wprowadzenie takiej wydzielonej śluzy dla autobusów przyspieszyłoby ich przejazd przez Rondo Matecznego. Obecnie na buspasie, służącym również do skrętu w prawo, ustawia się dużo samochodów, blokując ten pas i wydłużając przejazd. Byłoby to też spójne z wprowadzonym rok wcześniej nowym buspasem na ul. Kamieńskiego na dojeździe do Ronda Matecznego. Wizualizację mojej propozycji przesyłam w załączniku.

W odpowiedzi na mój wniosek otrzymałem pismo od Wydziału Miejskiego Inżyniera Ruchu nr IR-02.7223.1808.2024 z dnia 15 października 2024, w którym przyznano zasadność takiego rozwiązania (pismo w załączniku).

Piszę w tej sprawie ponownie, gdyż właśnie szykujemy się do remontu Mostu Grunwaldzkiego, co wymuszać będzie szereg zmian w wielu miejscach Krakowa, w tym właśnie i na Rondzie Matecznego. Jak samo Miasto przyznało w doniesieniach medialnych, konieczna będzie zmiana programu sygnalizacji świetlnej tak, aby zwiększyć przepustowość tramwajów jadących ul. Kalwaryjską. Jest to właściwa decyzja, gdyż to komunikacja tramwajowa musi mieć priorytet w mieście, zwłaszcza w czasie remontów. Oczywiście odbije się to na przepustowości prostopadłych wlotów, dlatego tym bardziej ważne jest, aby wykorzystać je jak najbardziej efektywnie - i taka śluza autobusowa (kosztem słabo wykorzystywanej relacji lewoskrętu) podniesie przepustowość wlotu od ul. Kamieńskiego. Zarówno autobusy jadące na wprost nie będą blokowane przez pojazdy skręcające w Kalwaryjską, jak i te pojazdy nie będą blokowane przez autobusy, przez co będą mogły zawsze wykorzystywać zieloną strzałkę warunkową. Właśnie teraz jest dobry moment na wprowadzenie tej zmiany - nawet jeśli tylko tymczasowo. A jeśli się sprawdzi - to zostawienie jej na stałe.

Swoje pismo kieruję do Wydziału Gospodarki Komunalnej i Infrastruktury, Zarządu Transportu Publicznego oraz do wiadomości Rady Dzielnicy XIII Podgórze.
Obrazek

Odpowiedź z WGKiI:
Szanowny Panie,

w nawiązaniu do poprzedniej korespondencji oraz biorąc pod uwagę obecną sytuację drogową informuję, że dokonując głębszej analizy zgłaszanego problemu nie jest oczywistym podjęcie zmian przed rozpoczęciem remontu mostu Grunwaldzkiego.

Należy zwrócić w tym miejscu uwagę, że co prawda na dojeździe do ronda jest wydzielonych 5 pasów ruchu, aczkolwiek wewnętrzny lewoskręt ma długość jedynie 30m, co w przypadku pozostawienia go jako jedynej samodzielnej relacji lewoskrętu oraz zawracania może skutkować i tak blokowaniem najbliższego prawego pasa przez pojazdy zamierzające jechać w kierunku ul. Wadowickiej. Ponadto należy nadmienić, że spory udział zajmujących rzeczone pasy są pojazdy wyjeżdzające z ulicy Czyżówka oraz Jana Zamoyskiego, które zawracają na rondzie w kierunku południowym. Dodatkowym aspektem, które negatywnie może wpłynąć na bezpieczeństwo poruszania się będzie konieczność zmiany trajektorii ruchu na tarczy ronda, która obecnie zgodna jest z jej geometrią.

W świetle powyższego, a także mając na uwadze niepewność związaną z przyszłym rozłożeniem się ruchu na przedmiotowym skrzyżowaniu uwarunkowanym również możliwym wyłączeniem ruchu tranzytowego na ul. Kalwaryjskiej (zwiększenie zagęszczenie wyjazdu z ul. Czyżówka) , ewentualne decyzje o zmianach zostaną podjęte po zamknięciu mostu Grunwaldzkiego.
No nie wiem, moim zdaniem jednak warto by tam było spróbować taką śluzę wprowadzić - zwłaszcza, że od ponad roku działa już buspas na Kamieńskiego. Przed samym rondem wszystkie pasy są dostępne dla wszystkich, robi się tam tłoczno - gdy przeplata się ruch z łącznicy z Powstańców Śl., a dużo aut skręca w prawo w Kalwaryjską. Autobusy muszą się tam przeciskać sporo. A jest to jednak jedna z najważniejszych tras autobusów KMK. Nie w takich miejscach są szykany i ostrzejsze odgięcia toru ruchu na skrzyżowaniach.

fysztof
Ekspert
Posty: 953
Rejestracja: 10 mar 2020, 10:04
Polubił: 1 raz
Otrzymał  polubienie: 35 razy

Re: Most Grunwaldzki, Rondo Grunwaldzkie

Post autor: fysztof » 27 mar 2025, 12:04

Moje zdanie w kwestii tej relacji jest nawet bardziej radykalne. Uważam, że w ogóle powinna zostać wykluczona taka opcja, jak lewoskręt z Kamieńskiego w Wadowicką. Prowadziliśmy już dwa lata temu podobną dyskusję:
viewtopic.php?p=35545&hilit=matecznego#p35545
Pojawił się głos wówczas, że warto byłoby utrzymać przynajmniej możliwość zawracania od Wadowickiej. I to jest akurat do rozważenia.

Przy okazji można by też poprawić kolejną rzecz, która teraz nie działa. Mianowicie od samej Wadowickiej na wprost w Kalwaryjską jest do jazdy na wprost jeden pas ruchu (drugi od prawej). Ale już na przełączce między pasami są dostępne dwa pasy do jazdy na wprost. Większość kierujących wyjeżdżając z Wadowickiej trafia przecinając pierwszą jezdnię jako naturalna kontynuacja dalej na drugi od prawej, ale już przejeżdżając przez drugą jezdnię Kamieńskiego ścina na pas prawy. Mimo, że zgodnie z przepisami ruchu powinien jechać na pas lewy w Kalwaryjskiej (ten, który zanika). Przez to ci, którzy skręcają na strzałce z Kamieńskiego w Kalwaryjską nie mogą jechać, bo może dojść do kolizji. Niestety brak wyraźnych linii prowadzących też jest tu przyczyną.

Podsumowując, aktualnie widziałbym taką organizację ruchu na Rondzie Matecznego:
03.jpg
03.jpg (192.17 KiB) Przejrzano 5107 razy

Awatar użytkownika
kbieniu7
Ekspert
Posty: 792
Rejestracja: 21 kwie 2022, 22:38
Lokalizacja: Kurdwanów
Polubił: 12 razy
Otrzymał  polubienie: 14 razy

Re: Most Grunwaldzki, Rondo Grunwaldzkie

Post autor: kbieniu7 » 27 mar 2025, 13:12

Tak, pamiętam dobrze naszą dyskusję wtedy. Mam wątpliwości, czy przejdzie usuwanie lewoskrętu (sam urząd stwierdził, że wykorzystywany jest też do nawracania), ale ogólnie Twój pomysł mi się podoba - na pewno na czas prac bym rozważył zamknięcie tego lewoskrętu :D Do Rydlówki może być problem, by dojechać, ale dziś można już dojechać tam przez Nowoorawską, w którą jest dostępny lewoskręt na następnych światłach.

A poprawka na tarczy ronda dla jadących od ul. Wadowickiej - zgadzam się.

Odpiszę im jeszcze - jak również zachęcam Ciebie, byś też im Twój pomysł osobiście wysłał ;)

ODPOWIEDZ

Kto jest online

Użytkownicy przeglądający to forum: Obecnie na forum nie ma żadnego zarejestrowanego użytkownika i 1 gość